Szerző: admin | 2025-02-10 12:23:05 | Frissítve: admin | 2026-04-01 23:42:21
Megosztás: Facebook | Megtekintve: 8498 alkalommal.
A felnőtt állami jegy kompletten 15.600 Ft-ba kerül, 70 év felett mindez 3.600 Ft, 14 év alatti gyerekeknek 600 Ft.
Az alábbiakban foglaltuk össze a legfontosabb tudnivalókat:
A 2024-es állami jegy 2025 január 31-ig érvényes, azaz ha veszel idén területi jegyet, akkor azzal és a 2024-es állami jegyeddel január 31-ig pecázhatsz az adott vízterületen!
A 2024-es fogási naplók leadásának határideje 2025.02.28. Ha ez után adod le, akkor 6.000 Ft-os extra díjat kell kifizetned, hogy megkaphasd az ideit - figyelj oda a határidőre!
A fogási naplódban leadás előtt összesítsd a horgászott napok számát (a napokat ikszelős helyen) valamint, ha írtál bele fogást, akkor a napló végén található fogásösszesítőt is töltsd ki, ügyelve hogy olvasható legyen a víztérkód.
A digitális fogási napló várhatóan február 1-től lesz kérhető. Ha ez érdekel, akkor mindeképp csak februárban gyere, mert cserélni nem lehet a fogási naplót papír alapúról digitálisra, tehát ha adunk egyet januárban, akkor azzal kell végighorgásznod az évet.
Ha lejárt a horgászkártyád, akkor ennek meghosszabbításában is tudunk segíteni, ennek a díja 2.200 Ft.
Tilalmi időszakok 2025-ben
Fogási naplók leadása, ügyintézés új helyszínen!
Elektronikus fogási napló
Országos Horgászrend 2025
Vigyázat, szigorú új szabályok vonatkoznak a horgászatra
Víztér kódok
1 százalék - Adományozza adója egy százalékát a legmegfelelőbb célra!
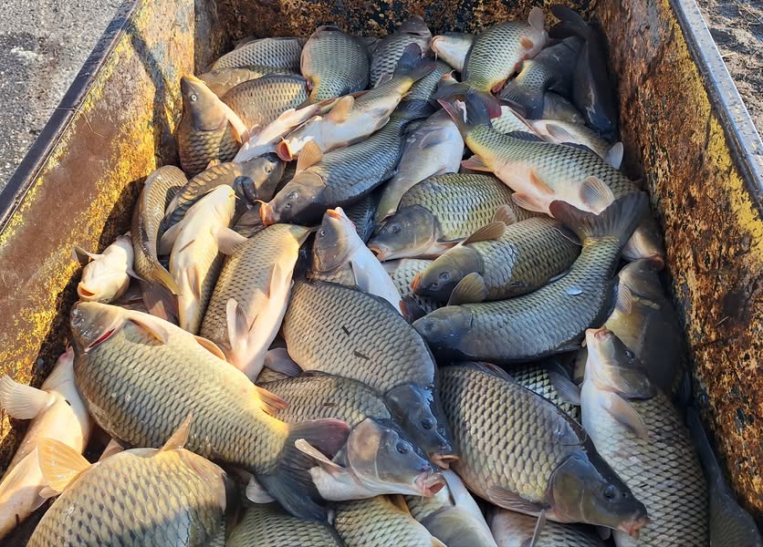
Megvalósult a 2025-év első telepítése 02.04-napján a Szálkai víztározóba.
Tilalmi időszakok 2025-ben
Fogási naplók leadása, ügyintézés új helyszínen!
Elektronikus fogási napló
Országos Horgászrend 2025
Vigyázat, szigorú új szabályok vonatkoznak a horgászatra
Víztér kódok
1 százalék - Adományozza adója egy százalékát a legmegfelelőbb célra!
Megvalósult a 2025-év első telepítése 02.04-napján a Szálkai víztározóba.